Pasar al contenido principal

Cambio de denominación de calle en la ciudad de San Carlos

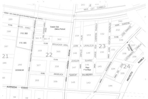
A través de la resolución N.º 05170/2025 se ha definido con el nombre Angélica “Queca” Salaberry, a la calle Oficial Nº 0181.

Calle en San Carlos

El tramo mencionado comprende desde la calle Oficial N.º 0435 maestra Magdalena Antonelli Moreno hasta la calle Oficial N.º 0401 Dr. José Lustemberg Camelia y como Cnel. Atanasio Lapido, a la calle Oficial N.º 0426 desde la calle Oficial N.º 0189 Brigadier General Juan A. Lavalleja, hasta la calle Oficial N.º 0202 Dr. Carlos Julio Suátrez Nazer “El sapo”, ambas de la ciudad de San Carlos.

Considerando que la actuación remitida obtuvo opinión favorable por parte de la Junta Departamental de Maldonado, la IDM resolvió esta designación.

Se adjunta la resolución correspondiente.


 

file_download
Resol. 5170-25.pdf ( 236.12 KB )