Pasar al contenido principal

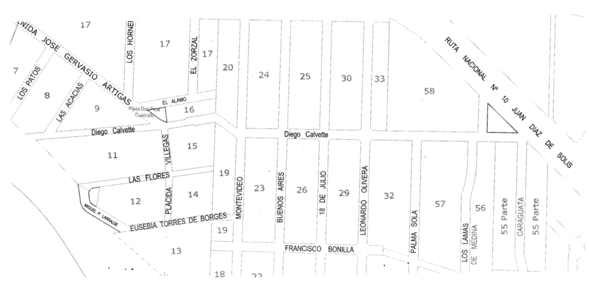
Calle del balneario Playa Verde fue designada con el nombre “Diego Calvette”

Vecinos de la zona habían manifestado su interés de designar con el nombre de “Diego Calvette”, una calle del balneario perteneciente a la jurisdicción de Piriápolis.

imagen

La resolución se tomó luego del planteamiento realizado por el edil Andrés Arias. En ese sentido, la calle “Maldonado” del balneario Playa Verde fue denominada como “Diego Calvette”, a través de la Resolución Nº 06050/2024.

imagen

file_download
Resol. 6050-24.pdf ( 72.53 KB )
Resolución Nº 06050/2024

Etiquetas